2718 O'reilly Road
Offered at: $4,100,000
MLS®: 10378305
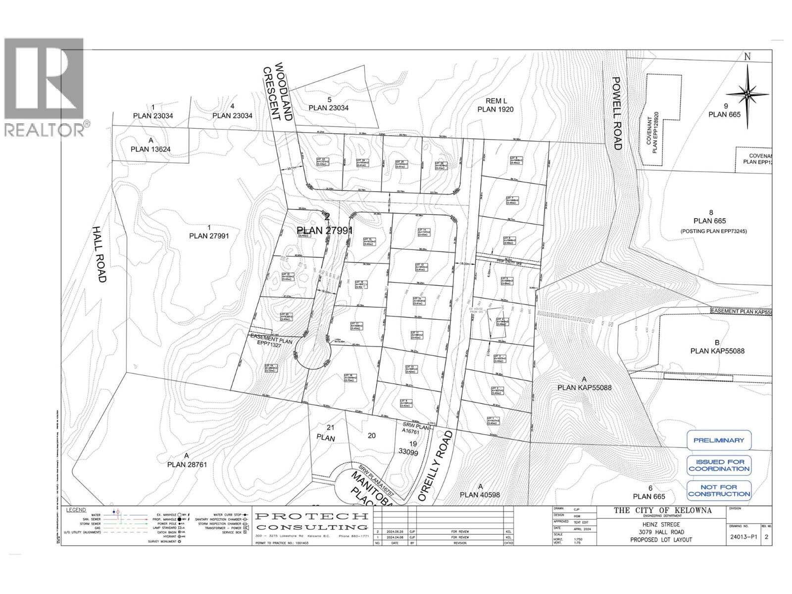
Exceptional Development Opportunity – 15.99 Acres (Not in the ALR). Rare chance to acquire a prime 15.99-acre holding property outside the ALR, offering immense development potential. Currently zoned RR1, with city sewer and water services adjacent to the property—a major infrastructure advantage. Development Potential: Preliminary plans by Protech available for a proposed 28-lot subdivision. Prime Location: Centrally located, just minutes to downtown, Orchard Park Mall, Costco, and major transit routes. Existing Home: Well-maintained 3,300 sq ft residence on-site — dated, but livable and income-generating during planning phases. Flexible Options: Seller open to remaining involved as a partial equity partner. Whether you're a developer, investor, or land banker, this is a rare opportunity to secure one of the last large, developable parcels in a sought-after urban location. (id:6769)
Quick Stats
Key Home Data
2
BATH(S)
3
BED(S)
3301
SQFT
YES
SHOWING AVAILABLE
Property Type:
Single Family Home Ownership:
Freehold
Payment Calculator
Calculate your monthly mortgage payment.
Mortgage Amount
$
Amortization
years
Payment Freq.
Interest Rate
%
Calculating...
All About the Details
See specific details below.
Neighbourhood Statistics
Get to know your neighbourhood.
