5701 Route 495
Offered at: $39,900
MLS®: NB131725
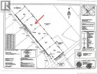
Residential building lot located in the Bouctouche / Saint-Fabien area, offering approximately 2.86 acres of mixed woodland with partial clearing already completed. Situated on Route 495, this property benefits from year-round municipal road access and an existing driveway with permit in place, including a 30-ft culvert installed (18-inch diameter)representing a significant cost savings for future construction. An approximate 35 ft x 70 ft cleared area is already in place, providing a practical starting footprint for a residential build and allowing flexibility for site layout or expansion. The lot is located within the City of Bouctouche area for well & septic approvals, supporting smoother planning and permitting. No well or septic currently installed. The balance of the property remains treed with mixed woodland, offering privacy, natural buffering, and controlled development options. PID 25489089. Property is freehold, unserviced, and ready for development, with immediate possession available. Conveniently located approximately 45 minutes from Moncton, 25 minutes from the renowned La Dune de Bouctouche, and 40 minutes from the popular Parlee Beach. A solid opportunity for builders seeking a prepared lot with early infrastructure in place in a peaceful rural setting, while remaining within reasonable proximity to key amenities and coastal attractions. (id:6769)
Quick Stats
Key Home Data
0
BATH(S)
0
BED(S)
Contact for
SQFT
YES
SHOWING AVAILABLE
Property Type:
Vacant Land Home Ownership:
Freehold
Payment Calculator
Calculate your monthly mortgage payment.
Mortgage Amount
$
Amortization
years
Payment Freq.
Interest Rate
%
Calculating...
All About the Details
See specific details below.
Neighbourhood Statistics
Get to know your neighbourhood.
